
In the summer of 2023, a badger was found digging around a Utah construction site. While digging is something badgers do best, his adventurous and destructive excursions in this populated area created an unsafe situation for humans and the badger. Because he couldn’t be released back to his natural habitat, Utah Division of Wildlife Resources (DWR) rehomed him to Hogle Zoo in August 2023.
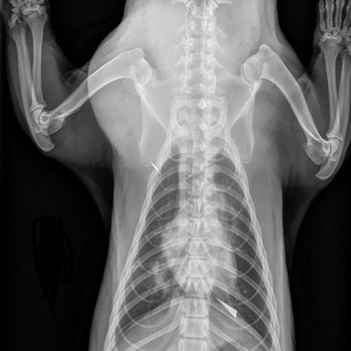
After arriving at Hogle Zoo, our on-site veterinary team conducted a health exam and discovered abnormalities in the badger’s chest and lungs. X-rays revealed a sharp, metallic object in his chest and an object impacting his lung. We then brought him to MedVet for a CT scan to further identify the foreign material and develop a treatment plan.
This discovery of metal in his chest and his remarkable resilience is how we affectionately coined Tony’s name after the Marvel character Tony Stark, or “Iron Man.”
While Tony was fortunate these items didn’t impact his heart or major blood vessels or rupture a lung, the teams at Hogle Zoo and MedVet determined that surgery was necessary. In November 2023, surrounded by a team of veterinarians and technicians, Board-certified Veterinary Surgeon Dr. Sylvia Lee performed a thoracotomy (an incision between the ribs) at MedVet to remove the objects inside of Tony. Once removed, the objects appeared to be a piece of rusty, sharp metal and a piece of wood.
Showing great post-operation healing and energy, Tony returned to Hogle Zoo’s L.S. Skaggs Animal Health Center the following morning. Thanks to the partnership between Hogle Zoo and MedVet and their commitment to care, Tony had a very successful recovery.
While we may never fully know what happened to Tony before coming to Hogle Zoo, we are committed to his health and wellbeing. Protecting wildlife starts with the wellbeing of animals under our care, and courageous actions to protect them will best enable connections and inspire action.
You can visit Tony in the all-new Aline W. Skaggs Wild Utah exhibit outside the Norma W. Matteson Education Animal Center. If you don’t spot him right away, he could be doing what badgers do best – digging a burrow! The best times to see Tony are right as we open at 9 am (March-October) or 10 am (November-February).